Cerca

Valli di Chioggia

Via libera alla rotonda, ma no al sottopasso

La decisione presa dal comitato della frazione: solo 7 (su oltre 550) i voti per il progetto dell'Anas.

Via libera alla rotonda, ma no al sottopasso

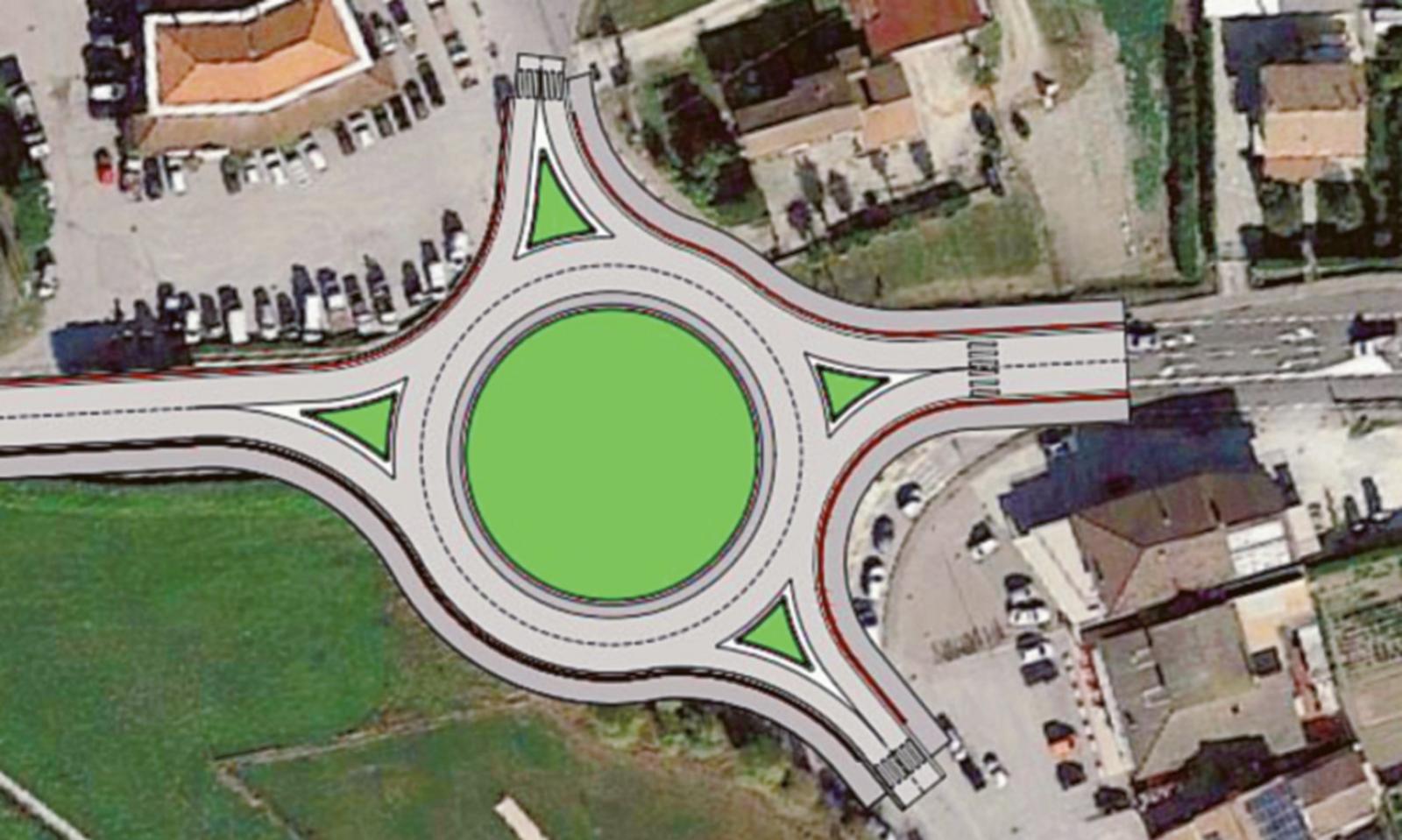
Il progetto di rotatoria sulla Romea

VALLI DI CHIOGGIA - Sì alla rotonda, no al sottopasso. Si potrebbe riassumere così la proposta del Comitato che ha ottenuto 549 voti favorevoli alle urne della frazione, contro i soli 7 a favore del progetto di Anas. Il progetto prevede di mantenere la rotatoria prevista nel progetto Anas, ma di mantenere anche l'attraversamento pedonale a raso con semaforo a chiamata per permettere a pedoni e biciclette di passare senza la realizzazione del sottopasso.

Inoltre il Comitato propone il mantenimento del ciclopedonale verso la zona di via Pascolon e della strada secondaria a nord-est della rotatoria e delle fermate degli autobus attuali.

Commenta scrivi/Scopri i commenti

Condividi le tue opinioni su

Caratteri rimanenti: 400